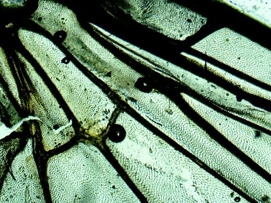
Aripa unei muste comune

Aripa unei muste comune(Musca domestica)

descarcă

Utilizând o pensetă, am desprins cu grijă un fragment din aripa unei muște de casă. Se poate observa structura aripii, de forma unei lame fine și transparente, străbătută de nervuri cu rol de susținere și fortificare a acesteia.