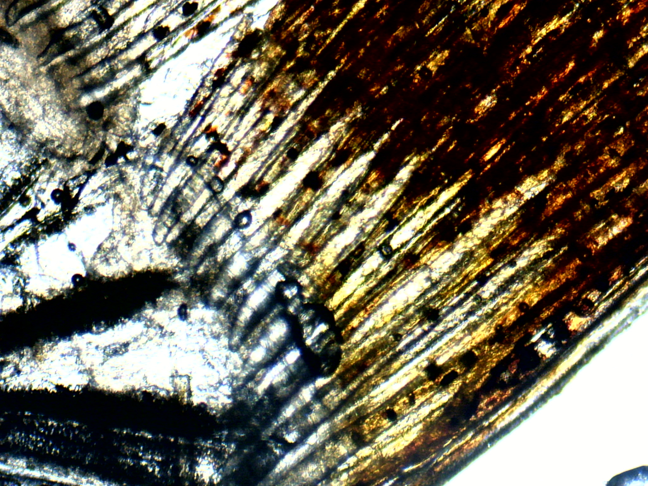
Caudal (tail) fin of a Melanotaenia praecox fish

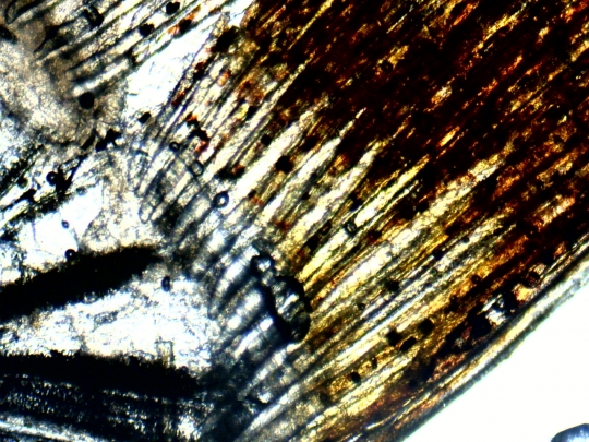
Caudal (tail) fin of a Melanotaenia praecox fish

download

What you see in this imagine are the bony rays which sustain the membrane (the tail) of a Melanotaenia praecox fish.The black spots are cells which contain pigment and which are called chromatophores.